El huracán Grace de categoría Uno, entró hoy a las 04.45 locales en territorio mexicano por un punto a 35 kilómetros al sur de Tulum, Quintana Roo.
Las islas en el nordeste del Caribe se preparaban el martes para lo que podría ser la tormenta tropical Fred.
La temporada alta de huracanes en el Atlántico ya está aquí. Históricamente, entre mediados de agosto y finales de octubre transcurre la época de mayor actividad.
Elsa se adentrará en Cuba por algún punto entre la Ciénega de Zapata, en la provincia de Matanzas, y la provincia de Cienfuegos para atravesar la isla hacia el noreste.
Aunque a su paso por Nicaragua se degradó rápidamente de huracán categoría 5 a tormenta tropical, Iota dejó tras de sí una estela de destrucción y catástrofe.
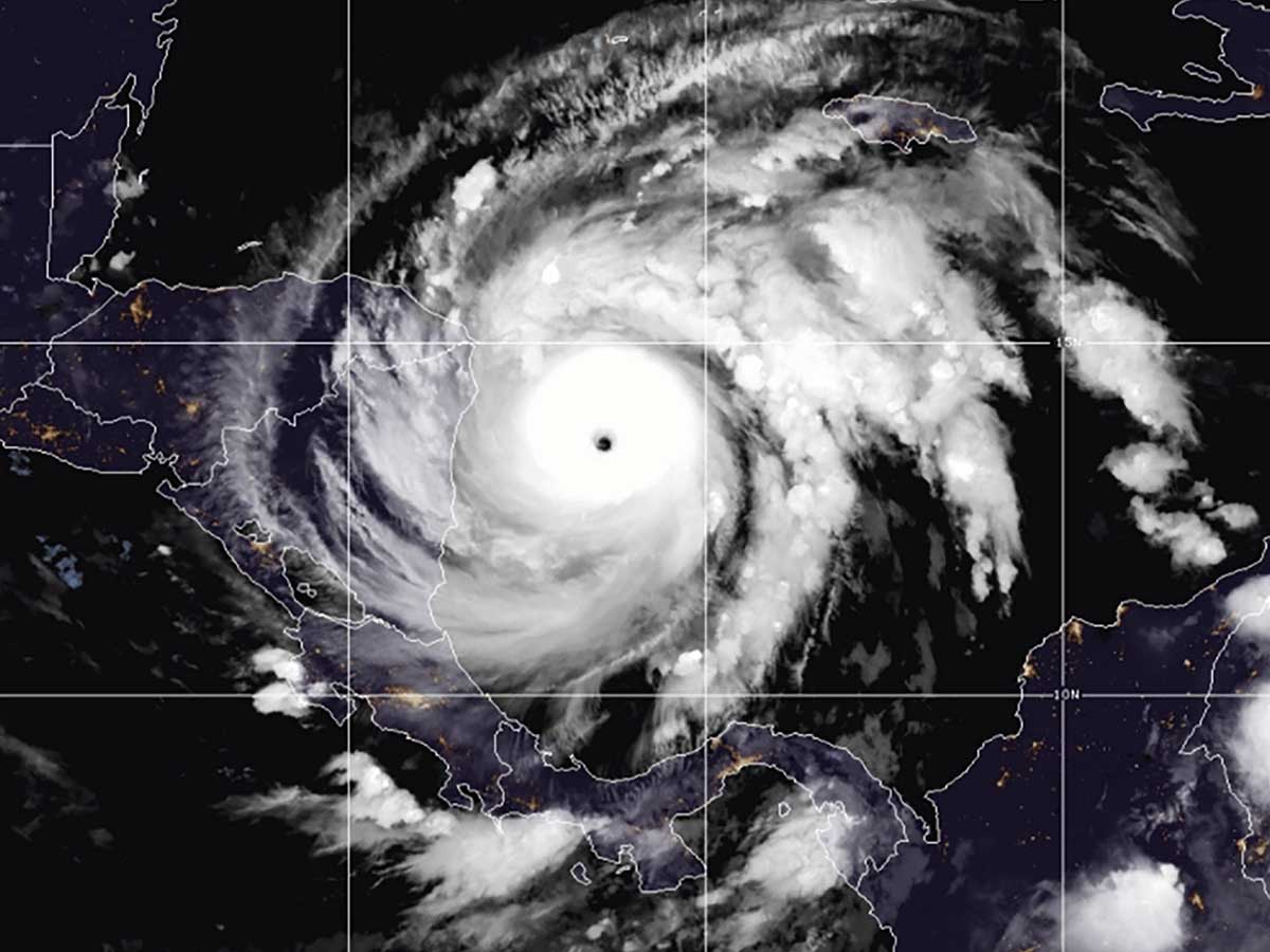
Iota, que la madrugada de este lunes se intensificó hasta convertirse en un huracán de categoría mayor, alcanzó esta mañana la categoría 5.
Se pronostica que Iota será un huracán de categoría 4 extremadamente peligroso cuando se acerque a Centroamérica, según el Centro Nacional de Huracanes.
Nicaragua y Honduras fueron blanco directo de los embates del poderoso huracán, que por el momento queda reducido a una depresión tropical.




