La tormenta tropical Laura se convirtió en un huracán con vientos de categoría 1, tras su salida de Cuba y su entrada en el Golfo de México.
La tormenta tropical Laura se estaba fortaleciendo en el Caribe y podría convertirse en huracán el martes, mientras que su gemelo Marco se debilitó antes de lo esperado.
La tormenta tropical Laura impactó dejó atrás este domingo la isla de La Española, dejando a su paso al menos doce muertos, comunidades anegadas y cuantiosos daños materiales.
Dos tormentas tropicales que se convertirían en huracanes a comienzos de esta semana se dirigían hacia las tibias aguas de la costa estadounidense del Golfo de México de manera simultánea.
La depresión tropical Siete se fortaleció en la tormenta tropical Gonzalo el miércoles, según el Centro Nacional de Huracanes.
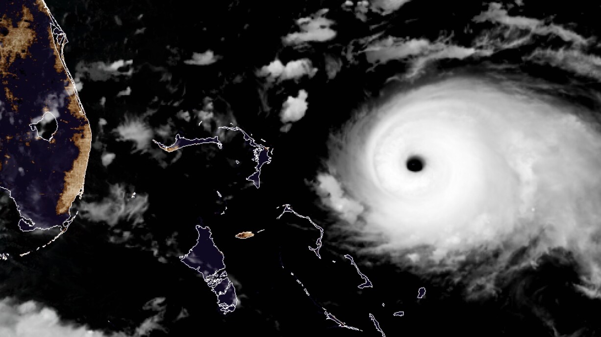
El Ministerio de Turismo y Aviación de Bahamas instó a todas aquellas personas que tenían intención de viajar al archipiélago antes del paso del huracán a que lo hagan, ya que muchas de sus 24 islas habitadas, a excepción de las afectadas, siguen a pleno funcionamiento.
La compañía de viajes Carnival Corporation informó que apoyará la reconstrucción de Las Bahamas, destruida tras el paso del huracán Dorian.
El huracán Dorian, la segunda tormenta más fuerte del Atlántico, que golpeó Las Bahamas entre domingo y lunes, ahora se acerca a Estados Unidos.




